619
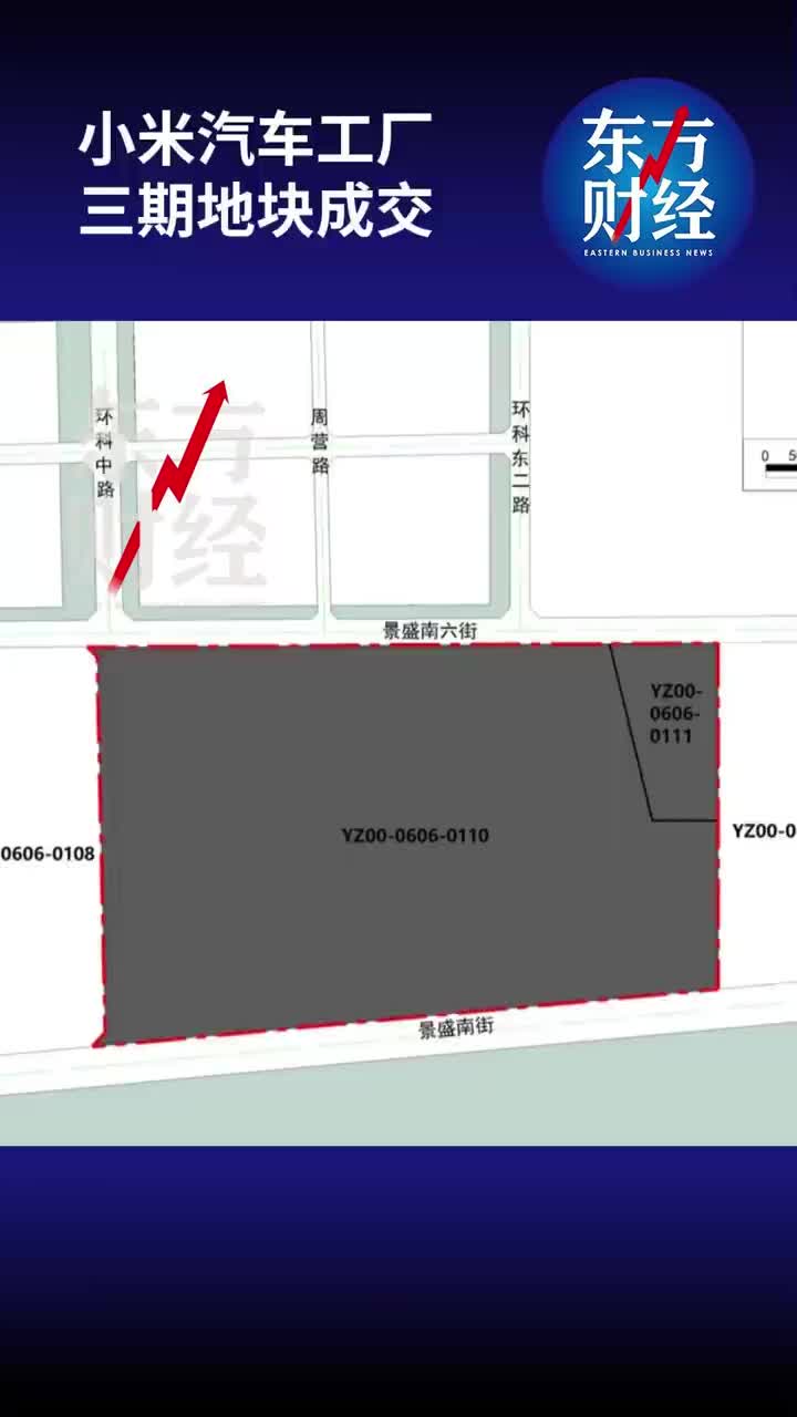
小米汽车三期地块成交:占地约727亩,超6亿元拿下。
据“最亦庄”公众号今日爆料,小米汽车工厂三期地块成交,占地约727亩,成交价格63504.0288万元。
该地块为一类工业用地,出让总年限50年,土地面积超48.5万平方米,竞得人是小米景曦科技有限公司。(via 东方财经)
2025-6-19
43
小米汽车三期地块成交:占地约727亩,超6亿元拿下。
据“最亦庄”公众号今日爆料,小米汽车工厂三期地块成交,占地约727亩,成交价格63504.0288万元。
该地块为一类工业用地,出让总年限50年,土地面积超48.5万平方米,竞得人是小米景曦科技有限公司。(via 东方财经)